December 15, 2025

ধেয়ে আসছে ঘূর্ণিঝড় মান্থা, ৩ রাজ্যে সতর্কতা!!

 ধেয়ে আসছে ঘূর্ণিঝড় মান্থা, ৩ রাজ্যে সতর্কতা!!

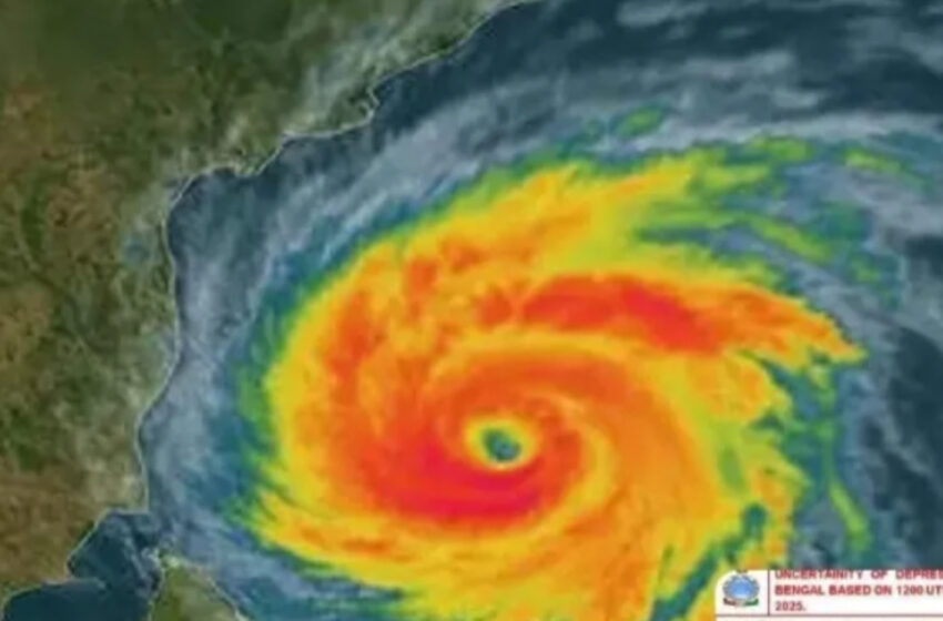
অনলাইন প্রতিনিধি :-বঙ্গোপসাগরের দক্ষিণ-পূর্ব অংশে তৈরি হওয়া নিম্নচাপ দ্রুত শক্তি সঞ্চয় করে গভীর নিম্নচাপে পরিণত হয়েছে। আবহাওয়া দপ্তর জানিয়েছে, এই নিম্নচাপটি আগামী সোম ও মঙ্গলবারের মধ্যে ঘূর্ণিঝড়ে পরিণত হবে। ইতিমধ্যে এর নামকরণ হয়েছে সাইক্লোন মান্থা। এটি পশ্চিম-উত্তর পশ্চিম দিকে অগ্রসর হয়ে মঙ্গলবার রাতে অন্ধ্রপ্রদেশ উপকূলে আঘাত হানতে পারে।
আবহাওয়া দপ্তরের সর্বশেষ বুলেটিনে বলা হয়েছে, ঘূর্ণিঝড়টি প্রথমে গভীর নিম্নচাপ থেকে শক্তিশালী ঘূর্ণিঝড়ে পরিণত হবে এবং বাতাসের বেগ ঘন্টায় ৮০-৯০ কিলোমিটার পর্যন্ত পৌঁছাতে পারে।উপকূলীয় সমুদ্র অত্যন্ত উত্তাল হয়ে উঠবে।
এই ঘূর্ণিঝড়ের মূল আঘাত পড়বে অন্ধ্রপ্রদেশ, ওড়িশা ও তামিলনাড়ু রাজ্যের উপকূলবর্তী অঞ্চলে। অন্ধ্রপ্রদেশের মচিলিপটনাম থেকে ক্যালিঙ্গাপত্তনাম অঞ্চলের উপকূলে সবচেয়ে তীব্র আঘাত হানার সম্ভাবনা।
ওড়িশার গঞ্জাম, গজপতি ও কেন্দ্রাপাড়া জেলায় ভারী থেকে অতি ভারী বৃষ্টিপাত হতে পারে। তামিলনাড়ুর উত্তর উপকূলে মাঝারি বৃষ্টিপাত ও বাতাসের ঝড়ো গতি থাকবে। পশ্চিমবঙ্গে দক্ষিণবঙ্গের কিছু জেলায় যেমন পুরী, মেদিনীপুর, দক্ষিণ চব্বিশ পরগণায় মাঝারি বৃষ্টিপাতের সম্ভাবনা রয়েছে।
নৌবাহিনী ও জাতীয় বিপর্যয় মোকাবিলা বাহিনী ইতিমধ্যেই অন্ধ্রপ্রদেশ ও ওড়িশায় মোতায়েন করা হয়েছে। স্থানীয় প্রশাসন লাল সতর্কবার্তা জারি করেছে এবং মৎস্যজীবীদের সমুদ্রে না যাওয়ার নির্দেশ দেওয়া হয়েছে।
ত্রিপুরায় সরাসরি ঘূর্ণিঝড় আঘাত না হানলেও এর বর্ধিত মেঘমন্ডল উত্তর-পূর্ব ভারতে ঢুকে পড়তে পারে। ফলে ২৯ থেকে ৩১ অক্টোবর পর্যন্ত রাজ্যের বিভিন্ন স্থানে বিক্ষিপ্ত বজ্রপাত সহ বৃষ্টি ও হাল্কা ঝড়ো হাওয়া বইতে পারে বলে আগরতলা আবহাওয়া অফিস জানিয়েছে। বিশেষত দক্ষিণ, গোমতি ও সিপাহিজলা জেলায় সাময়িক ভারী
বৃষ্টিপাতের আশঙ্কা রয়েছে।রাজ্য বিপর্যয় ব্যবস্থাপনা কর্তৃপক্ষ ইতিমধ্যে প্রতিটি জেলা প্রশাসনকে সতর্ক থাকতে নির্দেশ দিয়েছে। উদ্ধার ও ত্রাণ দলের পাশাপাশি এসডিআরএফ এবং দমকল বাহিনীকে প্রস্তুত রাখা হয়েছে।
ঘূর্ণিঝড়ের খবরে রাজ্যের কৃষকদের কপালে দুশ্চিন্তার ছায়া। চলতি সময়ে খরিফ ধানের পাকা ধান কাটার প্রস্তুতি নিচ্ছেন কৃষকরা। এই অবস্থায় ভারী বৃষ্টি হলে ধানের গাছ নেতিয়ে পড়বে এবং জলে ভিজে বা নিমজ্জিত হয়ে ফসল নষ্ট হতে পারে। সবচেয়ে ক্ষতির আশঙ্কা দক্ষিণ ত্রিপুরা জেলায়। কারণ বঙ্গোপসাগরের ঘূর্ণিঝড়ের পার্শ্ব প্রভাব প্রথমে এখানেই এসে লাগে।
আবহাওয়া বিশেষজ্ঞদের ধারণা, ত্রিপুরায় সরাসরি ঘূর্ণিঝড়ের আশঙ্কা না থাকলেও এর আর্দ্রতা ও মেঘবৃষ্টি প্রভাব ফেলবে কৃষিতে। যদি ৩০-৩১ অক্টোবর ভারী বৃষ্টি হয়, তাহলে ধান চাষ ব্যাপক ক্ষতির মুখে পড়তে পারে।
উল্লেখ্য, রাজ্যে বর্ষা কিছুদিন আগেই বিদায় নিয়েছে। ফলে আলু বপনের প্রস্তুতি শুরু হয়েছিল মাঠে-ঘাটে। চাষিরা নভেম্বরের মাঝামাঝি থেকে আলু রোপণ শুরু করে থাকেন, তবে জমি শুষ্ক ও নরম থাকতে হয়।এখন যদি মাসের শেষে বৃষ্টি হয়, তাহলে আলু বপনের সময়সূচি পিছিয়ে যেতে পারে। রাজ্য উদ্যান দপ্তর সূত্রে জানা গেছে, এ বছর ৪০০০ কৃষকের জমিতে এআরসি পদ্ধতিতে আলু চাষের পরিকল্পনা নেওয়া হয়েছে। দপ্তরের এক আধিকারিক বলেন, আলু বপনের উপযুক্ত সময় ডিসেম্বরের আগেই। বৃষ্টি হলে জমি ভিজে গেলে রোপন সম্ভব হবে না।তাই আমরা কৃষকদের সতর্ক করেছি।

Leave a Reply

Your email address will not be published. Required fields are marked *